这条路还会带给我们怎样的惊喜和故事?
武林路南段要变成步行街了?
昨日,拱墅区召开新闻通气会,介绍武林路南段分时段步行街实施方案及日常服务管理安排。
从本周五凌晨2点起,武林路南段(教场路—孩儿巷段)将正式实施新的通行规则,变成分时段步行街区。

每晚6:30至次日凌晨2:00 整个周末变步行街
分时段步行,就是在特定时间段内,禁止机动车、非机动车通行,成为一条纯粹的步行街。
分时段步行的具体时间为:周一至周四晚6:30至次日凌晨2:00,周五晚6:30至下周一凌晨2:00,节假日24小时,即节前工作日晚6:30至节后工作日凌晨2:00。“分时步行”期间,此段路限制机动车和非机动车通行。
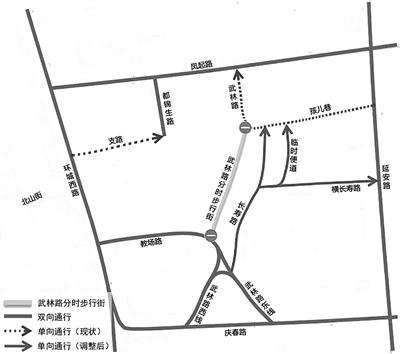
实行“分时段步行”的是武林路的教场路至孩儿巷段,靠近庆春路口,长度大概200米。
虽然不是很长,但这一段路是武林路与西湖、嘉里中心人流交织、最为热闹的一段。孩儿巷穿到武林路,便是武林夜市开始的地方。摊主们每天下午5:30开始出摊,分时段步行后,大家就慢下步子、无惧汽车的喇叭声,安心逛一逛了。
分时段步行从本周五凌晨2点正式实施。需要特别注意的是,本周五是从当日凌晨2:00开始封闭,直到8月8日,即下周一凌晨2:00。


三种方式
帮车子顺利“穿”过武林路
在变身“分时段步行街”之前,武林路是一条与环城西路、延安路并行的南北向道路,其庆春路到凤起路段实行南向北单向通行。
随着“分时段步行区”划定,公安机关交通管理部门根据《中华人民共和国道路交通安全法》第39条之规定,调整了武林路及周边道路部分路段的交通组织措施。
主要的改变是,长寿路(武林路-孩儿巷段)实行机动车由南向北单向通行、横长寿路(长寿路-延安路段)实行机动车由西向东单向通行。
当武林路进入步行时段,从庆春路驶入武林路的机动车、非机动车等,有三种方式顺利“穿过”。
第一种方式,是左转进入教场路,转到环城西路通行;
第二种方式,是走长寿路进入孩儿巷,再从孩儿巷转入武林路孩儿巷以北路段通行;
第三种方式,是走长寿路转入横长寿路,再转到延安路通行。