杭州今天继续阴天开局,意味着凉爽继续。

橙柿互动记者 夏阳摄
杭州市气象台预报:我市今天阴转多云;明天多云到阴,有短时阵雨;后天多云到阴有阵雨或雷雨。今天偏北风4级阵风5-6级。今天白天最高气温29℃,明天白天最高气温27℃,明天早晨最低气温22℃,今天平均相对湿度75%。


橙柿互动记者 夏阳摄
最高温度都不到30℃的日子,可以有。
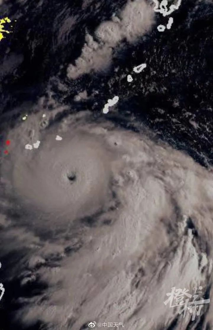
我们这边岁月静好,太平洋上却是风起云涌,风王“轩岚诺”没有停止一个强者的自我修养,它干了两件大事,先是完成了眼壁置换,二是把原本下一个台风“梅花”的胚胎给吞吃掉了。

眼壁置换是气象术语,可以通俗地理解成,从小的台风眼换成大眼。微博用户“中国气象爱好者”解释,一般来说,只有极强的台风才会换眼,在换眼期间,台风强度会略有减弱,但换眼成功后,台风体型会扩大,强度会再增强。轩岚诺从小眼换成大眼后,核心环流就大扩张了。

做完了“换眼手术”的轩岚诺,把原本可能生成的12号台风“梅花”的胚胎给吞并了。中国气象频道气象分析师信欣说,今天上午,日本气象厅放弃对超强台风轩岚诺附近低压的编报,原来预产的12号台风梅花,从难产变流产。这个低压被强悍的轩岚诺扯散,演化为轩岚诺的螺旋云带。